Comienzan las obras de renovación de la acera y ampliación del carril bici en la avenida Catalunya de Vilafranca

Los trabajos se prevé que se alarguen varias semanas

12 de noviembre de 2025 a las 09:57h
Actualizado: 12 de noviembre de 2025 a las 09:57h

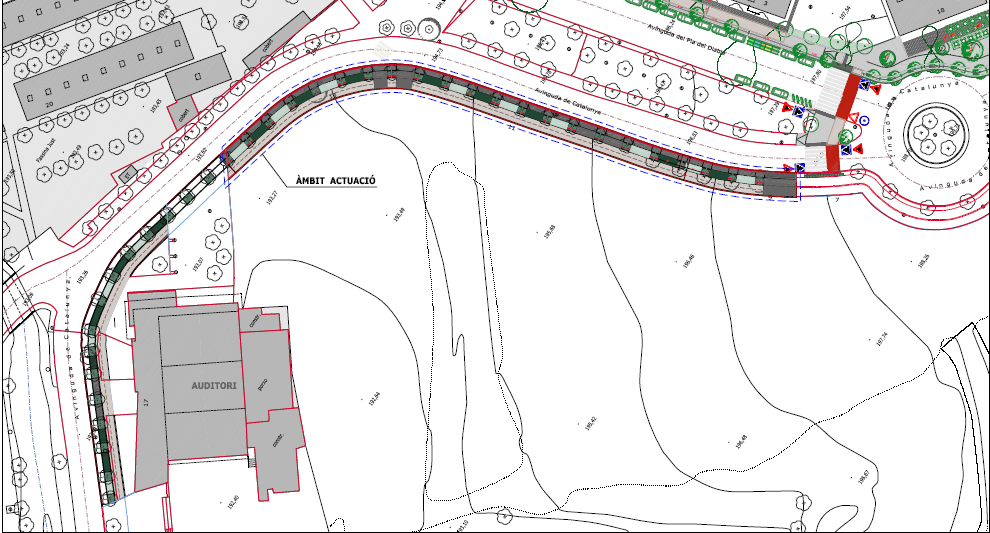
Este lunes han arrancado los trabajos de renovación de la acera y creación de un nuevo carril bici en la avenida Catalunya de Vilafranca del Penedès, en el tramo comprendido entre la rotonda de la avenida Pla del Diable y el Auditorio Municipal.

Las obras incluyen el derribo del pavimento de hormigón existente, la ampliación de los alcorques del arbolado y la instalación de un nuevo pavimento de hormigón. En total, la intervención afectará a 160 metros lineales de acera, que pasará a tener una anchura total de 6,10 metros, con un coste aproximado de 110.000 euros.

Renovació vovera av catalunya Vilafranca

Además de la renovación de la acera, el proyecto incorpora la construcción de un nuevo tramo de carril bici que permitirá alargar el actual carril bici de la avenida Catalunya desde la calle Eugeni d’Ors hasta el Auditorio y la Zona Deportiva. Según los responsables municipales, esta ampliación “facilitará que muchas más personas opten por desplazarse en bicicleta o vehículos de movilidad personal, conectando de manera más segura y cómoda el núcleo urbano con la Zona Deportiva, que concentra la afluencia de muchos practicantes del deporte”.

mapa obres av catalunya vilafranca

El proyecto también mejorará el acceso de los peatones a equipamientos como el Auditorio Maria Rosa Juncosa y la Zona Deportiva, ya que la acera se encontraba en mal estado y presentaba dificultades para las personas con movilidad reducida.

El concejal de Espacio Público y Transición Ecológica, Miquel Medialdea, ha destacado que se trata de una actuación “muy demandada por la ciudadanía que fomentará una movilidad más sostenible, segura y accesible para todos en Vilafranca”.

Los trabajos se prevé que se alarguen varias semanas y se llevarán a cabo con medidas de seguridad para minimizar las molestias a los peatones y conductores.

Sobre el autor
cropped Projecte nou 5 300x300
Maria Lorenzo Miró
Ver biografía
Lo más leído